| 交通 |
小田急電鉄多摩線「栗平」駅 徒歩29分 |
||||
|---|---|---|---|---|---|
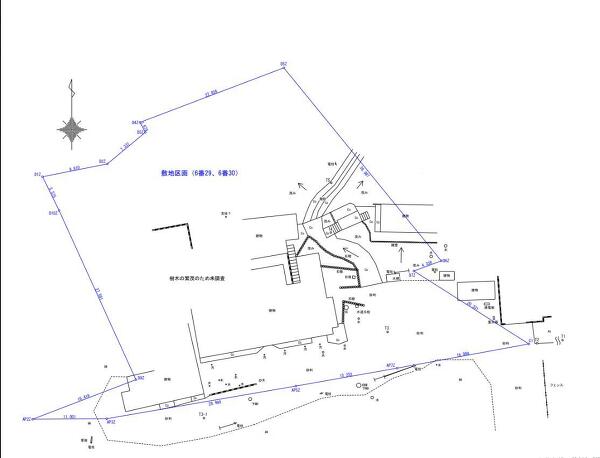
| ◎ 実測2055.34㎡の広大な敷地 ◎ 緑豊かなエリアに存します ◎ セカンドハウス等の活用も可能です ◎ 詳細はお気軽にお問合せください ※上記公簿面積には、道路後退部分を含みます。後退面積は未測定です。 ※現況測量面積:2055.34㎡ ※既存建物、樹木等の越境あり ※現況有姿でのお引渡し ※以下、登記済建物です。 【建物①】 ・家屋番号:6番29の1、種類:店舗、構造:木造亜鉛メッキ鋼板葺平屋建、床面積:225.32㎡、昭和41年5月10日新築(平成5年3月1日変更、増築) 【建物②】 ・家屋番号:6番30、種類:調理場、木造瓦葺平屋建、床面積:53.97㎡、昭和46年4月15日新築 【建物③】 ・家屋番号:6番29の3、種類:店舗、構造:木造亜鉛メッキ鋼板葺平屋建、床面積:79.24㎡、昭和64年月日不詳新築 他 |
| 建築条件 |
|---|
| なし |
| 所在地 | 稲城市坂浜3丁目 | ||
|---|---|---|---|
| 交通(路線) |
小田急電鉄多摩線「栗平」駅 徒歩29分 |
||
| 価格 | 15000万円 | ||
| 面積 | 2882.00m2(871.80坪) | 地目 | 原野 |
| 引渡日 | 即時 | 現状 | 上物あり |
| 取引態様 | 一般媒介 | 土地権利 | 所有権 |
| 建ぺい率 | 30% | 容積率 | 50% |
| 都市計画 | 市街化区域 | 用途地域 | 第1種低層住居専用地域 |
| 接道状況 |
南側:幅員1.2m公道に74.7m接道
|
||
| 設備 | ガス:個別プロパン 水道:公営 | ||
| 排 水 | 公共下水 | ||
| その他 | ~建築条件なし売地~ | ||
| 生活環境 |
【買い物】
三和SOCOLA若葉台店まで約1200m(徒歩15分)/
セブンイレブン稲城平尾1丁目店まで約1060m(徒歩14分)/
ドラッグセイムス稲城上平尾店まで約1000m(徒歩13分)/
【学 校】 稲城市立稲城第二小学校まで約990m(徒歩13分)/ 稲城市立稲城第二中学校まで約1260m(徒歩16分)/ しおどめ保育園稲城まで約1000m(徒歩13分)/ 平尾わかば幼稚園まで約1610m(徒歩21分)/ 【病 院】 【その他】 小田良中央公園まで約680m(徒歩9分)/ |
||
| 情報登録日 | 2025/11/04 | 更新予定日 | 2025/11/11 |
※各種情報と現況に差異がある場合は、現況優先となります。
※先着順販売に付き申込済みの場合はご容赦願います。
※物件情報に変更が生じた際には随時更新いたします。












